Colin Dwyer

Colin Dwyer appears in the following:

At Least 9 Dead As Blazes Ravage California

Friday, November 09, 2018

Three wildfires have forced 250,000 people to evacuate their homes across the state. Two of those dangerous blazes menaced Thousand Oaks even as it struggles to cope with a mass shooting.

Comment

Satanists Sue Netflix, Warner Bros. For $150M, Saying 'Sabrina' Copied Their Statue

Thursday, November 08, 2018

The Satanic Temple has used the statue to protest for freedom of religion. Now, it says the media giants have lifted its copyrighted design for a depiction of evil in the streaming series.

Comment

Fallen Officer Made 'Ultimate Sacrifice' In Confronting Thousand Oaks Shooter

Thursday, November 08, 2018

Sheriff's Sgt. Ron Helus had been speaking with his wife when reports of an active gunman came in. Within minutes, the veteran officer was on the hellish scene — but he would not survive the night.

Comment

Greece Strikes Tentative Deal To Remove Orthodox Clergy From State Payroll

Wednesday, November 07, 2018

Prime Minister Alexis Tsipras and Archbishop Ieronymos jointly announced the agreement, which is aimed at separating religion and state. But it is drawing resistance from other Church leaders.

Comment

Guam's Catholic Church To File Bankruptcy Amid Deluge Of Sex Abuse Lawsuits

Wednesday, November 07, 2018

Guam's archdiocese is facing claims from nearly 200 alleged survivors. "Bankruptcy is the method to deliver the greatest measure of justice to the greatest number of victims," said a Church lawyer.

Comment

'Rainbow Wave': How Did The Record Class Of LGBTQ Nominees Fare?

Wednesday, November 07, 2018

Hundreds of lesbian, gay, transgender, bisexual and queer candidates made the ballot Tuesday. And by Election Day's end, several of them had also made U.S. history.

Comment

Stacey Abrams Vows To Fight On: 'We Still Have A Few More Miles To Go'

Wednesday, November 07, 2018

The Georgia governor's race remained too close to call in the early hours Wednesday — and the Democrat remained defiant in her push to force a runoff election with her Republican opponent, Brian Kemp.

Comment

Ron DeSantis Defeats Andrew Gillum In Tight Florida Governor's Race

Tuesday, November 06, 2018

DeSantis, a Republican, edged out his Democratic opponent, Tallahassee Mayor Andrew Gillum, for the governorship. Meanwhile, Sen. Bill Nelson's re-election bid remains too close to call.

Comment

Kim Davis Loses Her Re-Election Bid For Kentucky County Clerkship

Tuesday, November 06, 2018

The Republican clerk's refusal to issue marriage certificates to same-sex couples made her a flashpoint for controversy in 2015. Now, Davis has lost to her Democratic opponent.

Comment

'I Voted' Stickers Pile Up In Emotional Tribute At Susan B. Anthony's Grave

Tuesday, November 06, 2018

Placing stickers on the suffragist's gravestone has become a kind of pilgrimage for voters in Rochester, N.Y. With a record number of women running, the tribute has special significance this year.

Comment

U.S. Is About To Reinstate Iran Sanctions. Here's What That Means

Friday, November 02, 2018

Come Monday, the Trump administration plans to restore the full measure of sanctions that were lifted with the Iran nuclear deal. You probably have questions about the situation. We have answers.

Comment

'It Is Time To End This Conflict': U.S. Calls For Cease-Fire In Yemen

Wednesday, October 31, 2018

Top Trump administration officials said they're seeking a halt to hostilities in the war-torn country — and that they'd like to see it within 30 days, to open the door for more permanent peace talks.

Comment

PHOTOS: World's Tallest Statue Ready For Its Inauguration In India

Tuesday, October 30, 2018

The statue commemorating Sardar Vallabhbhai Patel, a key figure in the Indian independence movement, stands roughly four times the height of the Statue of Liberty.

Comment

U.S. Agency Investigates 'Taxpayer-Funded Anti-Semitism' Against George Soros

Tuesday, October 30, 2018

A federally funded Spanish-language broadcaster called Soros — among other things — a "non-practicing Jewish financial speculator with flexible morals." Now, its parent agency wants answers.

Comment

'One Of The Darkest Hours': Sri Lanka Roiled By Prime Minister's Abrupt Dismissal

Monday, October 29, 2018

President Maithripala Sirisena fired and replaced his former ally with a controversial former leader, Mahinda Rajapaksa. But lawmakers have rejected what they call a subversion of the constitution.

Comment

Jimmy Carter Calls For Georgia Secretary Of State's Resignation In Personal Plea

Monday, October 29, 2018

Brian Kemp isn't just overseeing Georgia's gubernatorial election, he's also the GOP nominee. And the former president says that double role — among other controversies — endangers voter confidence.

Comment

Gritty, Stuff Of Nightmares, Has Been Officially Welcomed To Philadelphia

Friday, October 26, 2018

The Philadelphia Flyers' mascot looks like something that would hide under your bed as a child. "Gritty may be a hideous monster," says the city's official resolution, "but he is our hideous monster."

Comment

Here Are The Winners Of The 2018 Kirkus Prizes

Thursday, October 25, 2018

Ling Ma's debut, Severance, won for fiction. Crown earned Derrick Barnes and Gordon James the young readers' prize. And Rebecca Solnit's essays, Call Them by Their True Names, won nonfiction laurels.

Comment

Defense Secretary Mattis Will Send Some 800 U.S. Troops To Border With Mexico

Thursday, October 25, 2018

The Department of Homeland Security requested the troops. President Trump says he is intent on stopping any people in a migrant caravan from crossing the U.S. border.

Comment

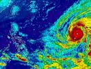
Super Typhoon Yutu, 'Strongest Storm Of 2018,' Slams U.S. Pacific Territory

Wednesday, October 24, 2018

Tens of thousands of U.S. citizens in the Northern Mariana Islands got lashed with winds of Category 5 intensity. The storm's vast scale and rapid escalation stunned meteorologists.

Comment